Description
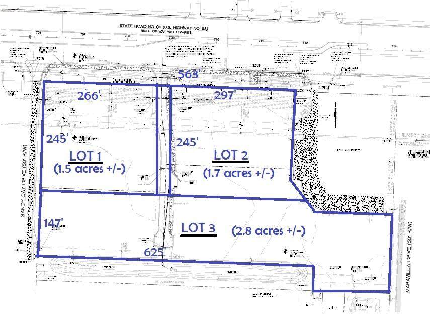
Price Reduced. Prime Commercial / Mixed Use Development Opportunity in Miramar Beach, FL. This 1.5 acres is High & Dry and a part of the entire 6.06 acres sitting along Highway 98 with a traffic count over 53,000 cars per day (FDOT 2023). The seller is willing to entertain a Sale, Ground Lease or Build to Suit. This parcel is located within a Master planned PUD with Mixed Use density entitled. Frontage Outparcels ~ $30/SF; Rear Parcels~ $24/SF. Offsite Retention creating more buildable square footage.
-
0BEDS
-
1.5ACRES
-
0BATHS
-
01/2 BATHS
School Ratings & Info
Description
Price Reduced. Prime Commercial / Mixed Use Development Opportunity in Miramar Beach, FL. This 1.5 acres is High & Dry and a part of the entire 6.06 acres sitting along Highway 98 with a traffic count over 53,000 cars per day (FDOT 2023). The seller is willing to entertain a Sale, Ground Lease or Build to Suit. This parcel is located within a Master planned PUD with Mixed Use density entitled. Frontage Outparcels ~ $30/SF; Rear Parcels~ $24/SF. Offsite Retention creating more buildable square footage.
Related Properties
© 2025 Emerald Coast Association of Realtors MLS. All rights reserved. IDX information is provided exclusively for consumers' personal, non-commercial use and may not be used for any purpose other than to identify prospective properties consumers may be interested in purchasing. Information is deemed reliable but is not guaranteed accurate by the MLS or The Coastal Connection at eXp Realty. Vendor Member number: 28178. Data last updated: 2025-12-07T00:00:25.693.
Vendor Member #28178.
